
Sold
Tbd Mcallister Road, Marston, NC 28363
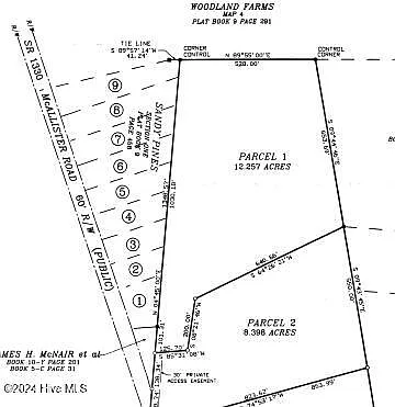
SOIL TEST COMPLETED! Suitable for a 4 bedroom home septic system! This is a fantastic, approximately 13-acre vacant land opportunity for anyone seeking space away from hustle and bustle. The land is generally level and not yet cleared, so you can choose how wooded you would like the property to remain, and there is a wonderful spot for a potential homesite in the upper 3rd of the larger parcel. The smaller parcel would be ideal to clear and use as a driveway. Zoned RA (Residential Agricultural) by Scotland County. Per the County table of uses, there are many options for this property. Included in their list of permitted uses/structures – manufactured homes, modular homes, bed and breakfast inns, construction business, riding stables, feed & seed sales, athletic fields/recreational buildings, and of course FARMING! Buyer to verify all information with the county. Per the county dimensional standards, minimum lot size is 20,000 sf in RA zoning areas. No public water or public sewer available. Outside city limits and outside ETJ, low county taxes. Not in a designated flood zone area, nor in a designated wetlands area. Zoned for Wagram Elementary, Springhill Middle and Scotland High. 20 minutes to go shopping, enjoy dining and access medical care in Southern Pines, 20 minutes from Camp Mackall, less than 1 hour to Fort Liberty. For purposes of finding the property and its access points, the for-sale sign is just past 26643 McAllister Rd, that is the easement entrance to the larger parcel, and probably the easiest way to access for walking the land. Corners will be marked, but for now, orange flags are placed APPROXIMATELY where corners are of the smaller parcel directly on McAllister Rd, across the street from mailbox # 26921 (if you get to mailbox 26921 you have gone too far).
- Price: $89,000
- Acres: 13.16
- Community: Marston
- Type: Lot/Land
- Sub-Type: Residential Land
- Status: Sold
Photo Gallery
Get In Touch With Us











You must be logged in to post a comment.